9 homes planned for Lincoln School site
New beginnings are underway at the former home of Highland Park’s historic Lincoln School.
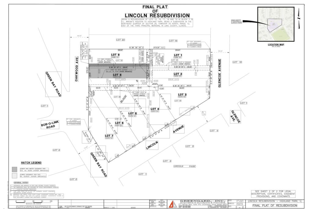
Developer HP Lincoln has petitioned the City of Highland Park to build nine single-family homes on the property at 711 West Lincoln Ave.
For the project to proceed, the City must OK a reconfiguration of the 120,769-square-foot site from five lots to nine, according to city documents. Additionally, because of the site’s irregular shape, multiple variations to Highland Park’s regulations will also be necessary, the documents show.

The public review process begins Tuesday, May 6, when the project will go before the Plan and Design Commission.
As part of the application, the developer requests “prompt” review from the City and hopes for summer construction.
Property background
Facing budgetary concerns, North Shore School District 112’s School Board voted to close Lincoln School, along with Elm Place Middle School, in October 2017. Lincoln was built in 1909.
The board then approved the property’s sale for $1.91 million in 2023.
At the time of the sale, Superintendent Dr. Michael Lubelfeld said, “The difficult but necessary decision to sell Lincoln School is part of the District 112 Long-Range Facilities Modernization Plan. The school and its history will remain in our hearts, minds and memories.”

Demolition of the school occurred in the fall of 2024.
Lincoln School’s iconic clock was preserved by the school district. The clock was designed in 1929 by renowned architect John Van Bergen in honor of Nell Seyfarth, a former School Board member and Woman’s Club president. The clock is called “The Flight of Time” and reportedly was installed at nearby Ravinia Elementary School. Other memorabilia from the old building was also removed before the sale and will be displayed in other district schools.
The Record is a nonprofit, nonpartisan community newsroom that relies on reader support to fuel its independent local journalism.
Become a member of The Record to fund responsible news coverage for your community.
Already a member? You can make a tax-deductible donation at any time.

Joe Coughlin
Joe Coughlin is a co-founder and the editor in chief of The Record. He leads investigative reporting and reports on anything else needed. Joe has been recognized for his investigative reporting and sports reporting, feature writing and photojournalism. Follow Joe on Twitter @joec2319


